FG Sympathizes With Caribbean Nations After Hurricane Melissa
Abuja, Nigeria – November 3, 2025
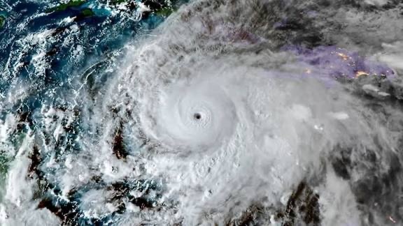
The Federal Government of Nigeria has expressed deep sympathy and solidarity with Cuba, Haiti, and Jamaica following the devastating impact of Hurricane Melissa, which left a trail of destruction across several Caribbean nations.
In a statement released by the Ministry of Foreign Affairs, the government described reports of widespread devastation, severe flooding, and tragic loss of life as “heart-wrenching and deeply saddening.” The statement emphasized Nigeria’s concern for the affected populations and its support for the ongoing relief efforts.
The government commended the “courageous and selfless” work of emergency response teams in Cuba, Haiti, and Jamaica, who have been battling to rescue survivors, restore essential services, and provide shelter to displaced persons.
Nigeria also extended condolences to the families of the victims and wished a speedy recovery to those injured by the hurricane’s impact.
“In the spirit of South-South cooperation and shared humanity, Nigeria calls on the international community to provide all necessary support for the urgent recovery and rebuilding of affected communities,” the statement read.
Reaffirming its solidarity with the governments and peoples of the Caribbean, the Federal Government concluded by offering prayers for comfort, resilience, and the swift restoration of normalcy in the aftermath of the disaster.

